宝山又有这3个小区将加装电梯!
老旧小区加装电梯是民生工程,也是民心工程。近年来,宝山区一直在积极推进既有住宅加装电梯,取得显著成效。近日,宝山区馨康苑15号、淞南四村9号、铁峰路2001弄7号将加装电梯,目前设计方案正在公示中,为宝山“加梯”开启加速度。详见↓
1、上海市宝山区馨康苑15号单元加装电梯工程设计方案

公示网站:宝山区人民政府门户网站
公示现场地点:上海市宝山区馨康苑小区公示栏
公示期限:2024年4月1日至2024年4月10日
收集意见截止期:2024年4月17日
意见反馈途径
信函方式:上海市宝山区庙行镇人民政府
通讯地址:宝山区长江西路2699弄
邮政编码:200443
电话:021-66988029
2、上海市宝山区淞南四村9号加装电梯工程

公示网站:宝山区政府门户网站
公示现场地点:上海市宝山区淞南四村9号公示栏
公示期限:2024年4月2日至2024年4月11日
收集意见截止期:2024年4月18日
意见反馈途径
(1)信函方式:上海市宝山区淞南镇人民政府
通讯地址:上海市宝山区淞南路500号
邮政编码:200441
电子信箱:snzjgzx@163.com(邮件名称、主题中应标明公示名称)
电话:021-36216520(邮件名称、主题中应标明公示名称)
项目情况咨询
上海市宝山区淞南四村北块小区第二届业主委员会
联系电话:021-56822230
通讯地址:上海市宝山区淞南四村76号甲二楼
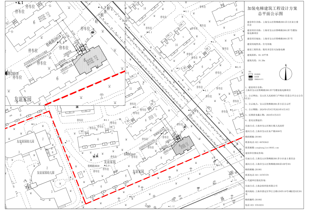
3、宝山区铁峰路2001弄7号既有多层住宅加装电梯项目设计方案

公示网站:上海市宝山区人民政府门户网站
现场公示地点:上海市宝山区铁峰路2001弄小区公示栏
公示期限:2024年4月9日至2024年4月18日
收集意见截止期:2024年4月25日
意见反馈途径
(1)通讯方式:上海市宝山区杨行镇人民政府
通讯地址:上海市宝山区水产路2699号
邮政编码:201901
联系电话:021-66763643
电子信箱:yanghangjiati@163.com
(邮件名称、主题中应标明公示名称)
建设单位情况咨询
上海市宝山区铁峰路2001弄小区业主委员会(第三届)
通讯地址:上海市宝山区铁峰路2000弄100号301
邮政编码:201901
联系电话:021-33797378
代建单位
上海金钴科技有限公司
通讯地址:上海市嘉定区华江公路1-10号4幢2层A区201室
邮政编码:201802
电话:021-57610231
(来源:上海宝山)
分享让更多人看到
- 评论
- 关注






























第一时间为您推送权威资讯
报道全球 传播中国
关注人民网,传播正能量